DIFERENCIA

.- Cuando la superficie de un terreno sea menor a la prevista en el título de propiedad y no se encuentre dentro del error técnico de medición aceptable (ETAM), se observará el siguiente procedimiento: 

¿A quién está dirigido?

A las personas naturales o jurídicas que requieran la rectificación de excedentes de superficie, cumpliendo con la normativa vigente.

 

Dirigido a: Persona Jurídica - Privada, Persona Jurídica – Pública, Persona Natural - Ecuatoriana, Persona Natural - Extranjera.

 

¿Qué se obtiene si se completa satisfactoriamente el trámite?

La Resolución Administrativa o el Acto Administrativo de órgano competente que rectifica la superficie de un predio.

 

Dirigido a: Persona Jurídica - Privada, Persona Jurídica - Pública, Persona Natural - Ecuatoriana, Persona Natural - Extranjera.

¿Qué obtendré si completo satisfactoriamente el trámite?

Resolución Administrativa de Diferencia

¿Qué necesito para hacer el trámite?

Requisitos Obligatorios:

1. Requisitos para la rectificación de diferencias que superen el ETAM:

  1.  Solicitud dirigida al señor Director de Obras Públicas del GAD Municipal del Cantón Mocha
  2. Original de la cédula de ciudadanía de los solicitantes (se dejará fotocopia del documento en el expediente)
  3. Certificado de no adeudar al Municipio de todos los comparecientes
  4. Copia de la línea de fábrica
  5. Certificado de propiedad y gravámenes emitido por el Registro de la Propiedad del Cantón Mocha, en el cual no deben constar gravámenes ni limitaciones vigentes.
  6. Copia de la Carta de Pago de Impuesto Predial del año en que se realiza el trámite.
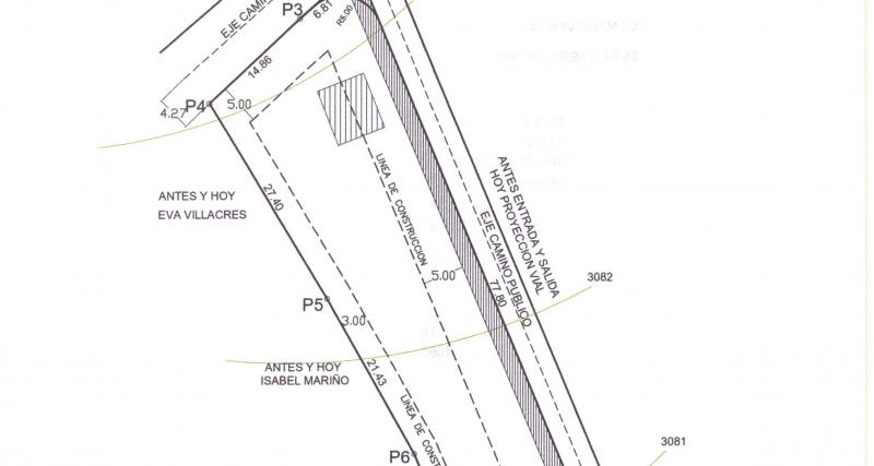
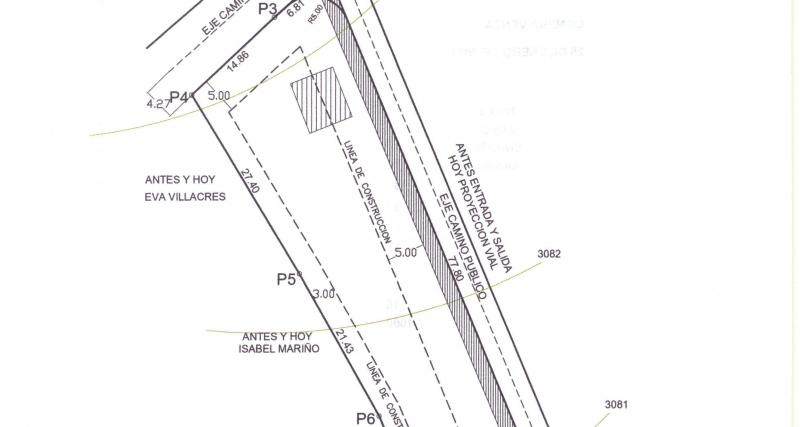
  7. 1 plano con levantamiento topográfico y CD en DWG versión 2010-. El predio debe estar delimitado
  8. Pago de la tasa por servicios técnicos y administrativos de regularización y rectificación de diferencias que superen el ETAM

¿Cómo hago el trámite?

Procedimiento para rectificación de diferencias que superen el margen de error técnico aceptable de medición (ETAM):

  1. El usuario ingresará la solicitud conjuntamente con la documentación necesaria a través de ventanilla única;
  2. La documentación ingresada se remite a la Jefatura de Planificación, cuyo titular señalará día y hora para que se realice la inspección y verificación física del predio;
  3. El día y hora señalado para la inspección se verificará que el predio en efecto coincida con los datos presentados por los solicitantes; y emitirá informe favorable para rectificación. En caso de que los datos verificados en inspección no fueren correctos ni coincidentes, el Jefe de Planificación emitirá informe señalando los errores encontrados y devolverá el trámite a ventanilla única, para que procedan a notificar al solicitante;
  4. Con el informe favorable emitido por la Jefatura de Planificación, con el CD del plano digital se remite a la Jefatura de Avalúos y Catastros a efectos de que proceda a emitir su informe, respecto de la determinación del avalúo total de la diferencia y del predio en general;
  5. Con el informe emitido por la Jefatura de Avalúos y Catastros, la documentación se remite a la Jefatura de Rentas, a efectos de que determine el valor a pagar por concepto tasa por servicios técnicos y administrativos de rectificación de diferencias que superen el ETAM según informe de la Jefatura de Avalúos y Catastros.
  6. Realizado el pago que corresponda por parte del o de los solicitantes, la documentación se remite a la Procuraduría Síndica para la elaboración de tres ejemplares de la Resolución Administrativa y se remite a la Dirección de Obras Públicas.
  7. La Dirección de Obras Públicas, legaliza la resolución administrativa de rectificación de superficie por diferencias y remite los tres ejemplares originales a ventanilla única; en donde se procederá a la notificación al usuario.
  8. Con la resolución administrativa emitida, el o los solicitantes, procederán a protocolizar la resolución administrativa en una Notaria; y, se presentará para su inscripción en el Registro de la Propiedad del Cantón Mocha.

 


Canales de atención: Presencial.

¿Cuál es el costo del trámite?

 

Conforme con el Art. 6 de la Ordenanza sustitutiva que establece el cobro de tasas por servicios técnicos y administrativos prestados por el GAD Municipal de Mocha, los costos son:

 

  • El 20 dólares

¿Dónde y cuál es el horario de atención?

Ingreso de documentos en Ventanilla Única del GAD Municipal de Mocha

Atención de lunes a viernes de 08:00 a 12:00 horas

Contacto para atención ciudadana

Contacto: Diego Castro, Asistente Administrativo – Ventanilla Única

Email: diegoventanillaunica@yahoo.com

Teléfono: 032770217 Ext. 101


Fecha de última actualización: 2021/07/15

Contenido

¿Te sirvió el contenido?